[adrotate banner=”105″]
[adrotate banner=”169″]
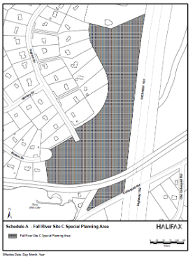
FALL RIVER: News that the province has designated the end of Ingram Drive—known as Fall River South and Opportunity Site C—as a special planning area, allowing a proposed 120-unit development to proceed has Deputy Myaor Cathy Deagle Gammon shaking her head is dismay.
The HRM representative for Waverley-Fall River-Musquodoboit Valley was hearing about the approval decision by Municipal Affairs and Housing Minister John Lohr from media. A release on Feb. 16 from the province said the decision was made based on the recommendation of the Executive Panel on Housing in the Halifax Regional Municipality.
The area covers about 12 hectares (30 acres) at the end of Ingram Drive.
Deagle Gammon said the decision has left her upset.
“It’s just an absence of an understanding about what is a community,” she said in an interview with The Laker News. “It’s an absence of the understanding about the lack of infrastructure.
“To put three apartment buildings, at the top of a dead-end street, with no transit, no secondary access, no wastewater service so it another on site septic system isn’t the right move.”
ADVERTISEMENT:
[adrotate banner=”31″]
[adrotate banner=”188″]
In Nov. 2022, HRM Regional council—and North West Community council before it—rejected the proposal because it was not the proper fit for the site, with no infrastructure to support it such as transit and access to Cobequid Road.
CN Rail had denied the request for access to be over their rail line from the site, and at regional council in Nov. 2022 the vote was tied for an amendment from the developer, thus nullifying the project.
Many in the community—Fall River subdivision who live nearby and will be most impacted—had worried that the development would get a rubber stamp and green light of approval when the provincial government created the Housing Panel for the province.
Deagle Gammon said the traffic study done for the project was interesting. She also noted there was egress.
“It’s one way in and one way out of Fall River Village itself,” said Deagle Gammon. “We do have the access off Fall River Road and then access off from Winley onto the Windsor Junction Road. But neither one of those can really have the capacity in the community’s understanding to be able to take all of the vehicle traffic that’s going to come from this because there’s no transit.”
She said this shows again there’s no infrastructure to be able to support such a project. The decision also left her wondering how it remains an Opportunity Site because there’s no exit over the CN rail line because CN said no.
“That was the whole reason it was an opportunity site,” she said. “As soon as that option is gone, then it should not have been considered an Opportunity Site.”
ADVERTISEMENT:
[adrotate banner=”206″]
[adrotate banner=”192″]
Deagle Gammon said both Community Council and Regional Council both said this is not the right development.
“We said it’s not the right development,” said Deagle Gammon.
“Yes, the community does think that something should be developed there. Absolutely, but the three apartment buildings, three stories, 120 units, that’s not the right fit.”
She said it comes down to not having any of the needed infrastructure to support this kind of development.
“It will mean 120-plus cars on the road in the subdivisions since there’s no transit in the area,” she said.

Deagle Gammon was asked that without wastewater that will mean the development will require on-site septic. However, she had no word on what that would look like. Residents have voiced concerns on other developments for impacting nearby lakes.
She said her nose was also ruffled with the fact there was no consultation from the provincial housing panel to the community.
“There was no reach out to me as a local councillor,” she said. “What do they base their decision on? It hasn’t been a decision that’s based on any kind of community engagement or knowledge of the community.
“We worked really hard to make sure that there was an understanding about why this wasn’t the right development. Obviously, that’s not something that the province listens to.”
ADVERTISEMENT:
[adrotate banner=”71″]
[adrotate banner=”103″]
The release said the developer, Perry Lake Developments, will now work with municipal planning and development staff to move the project forward.
Projects in special planning areas are subject to permitting, fees and safety and regulatory requirements specified in the Housing in the Halifax Regional Municipality Act.
A map of the special planning area and copy of the order issued by the Minister are available at: https://novascotia.ca/housing-panel/
Heather Fairbairn, spokeswoman with the Department of Municipal Affairs and Housing, issued a short statement answering the questions The Laker News sent them on Friday.
“Nova Scotians need more housing, faster,” she said.
“This proposal has been recommended by HRM planning staff.”
Fairbairn said the developer has included an alternate access way to the location that would not require use of the CN Rail line area.
“The developer proposed an alternative access route to the area that eliminates the need to cross the CN rail line,” said Fairbairn. “Planning staff are specialists on these matters. They felt confident in the alternative route and recommended it for approval.”
She continued saying with the designation as a special planning area, the developer can work with HRM planning to advance the proposal through the municipal planning process.
“Projects in special planning areas are subject to all permitting, fees, safety and regulatory requirements as specified in the Housing in the Halifax Regional Municipality Act,”
Fairbairn said residents with concerns on the project and its impact can indeed voice those during the process.
“The community will also have the opportunity to submit comments as part of this process,” she said.
We also reached out to Advanced Education Minister and local MLA Brian Wong for comment by email and text but had not heard back yet when we posted this.
When we hear back from them we will update this story.
[adrotate group=”7″]
[adrotate banner=”34″]
